taste immobilien
Immobilien mit Geschmack


wohnzimmer

VERKAUFT Niederteufen - Steuerparadies im Appenzellerland

ftp://80.74.154.100/httkuechedocs
offener_dachraum keller
Hochglanzküche Offener Dachraum  Keller mit Kirschbaumbar
designer_cheminée kinderzimmer ankleideschrank
Designer Cheminée Kinderzimmer Ankleideschrank
lounge g_wc garage
Raucherlounge Gäste WC zwei grosse Garagenplätze
Beschrieb des Objektes
Die luxuriöse 5 1/2 Zimmer Dachmaisonettewohnung befindet sich in der steuergünstigen Gemeinde Teufen / Niederteufen / AR. Steuerfuss für Gesellschaften 6 %
Die luxuriöse, hochwertig renovierte 5 1/2 Dach-Mais-Whg. mit ca. 220 m2 Wohnfläche befindet sich an sonniger und ruhiger Top-Wohnlage, nähe Beritklinik. Die Hauptausrichtung ist gegen Süden.

Die Wohnung hat eine neue Küche in Hochglanz mit V-Zug-CombiSteam, Glaskeramik-Induktionsherd,...

Ganze Wohnung mit exklusivem Kirschbaum Parkett, Küche und Nasszellen mit keramischen Bodenbelägen.

Der Mittelpunkt im Wohnbereich stellt das neu erstellte Designercheminée mit einer Gips-Stuccowand dar. Das Beleuchtungskonzept stellt die spezielle Dachgestaltung in ein harmonisches Licht und gehört zur Wohnung. Die Raumhöhen in den Dachschrägen sind bis zu 3,7 m hoch, was ein sehr grosszügiges Raumgefühl gibt.

Das Elternschlafzimmer ist mit einem Wandschrank von 5,6 m Länge ausgestattet. Nebst der allgemeinen Waschküche im Erdgeschoss ist im 20 m2 grossen Badezimmer eine zusätzliche Waschmaschine sowie ein Tumbler installiert.

Im 18 m2 grossen Keller sind eine schöne Kirschbaumbar, sowie Einbau-Regale fix montiert.

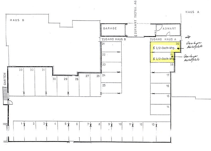
Zu dieser Wohnung gehören zwei übergrosse Tiefgaragenplätze (die 2 Plätze werden zur Zeit von 3 Autos belegt) Preis 2 x à CHF 30'000, welche direkt neben dem Hauseingang platziert sind. Weiters hat es auch einen gemeinschaftlichen Veloraum und genügend Besucherparkplätze. Die Zufahrt ist wintersicher.

Optional sind zwei Disponiebelräume erhältlich:
CHF 15'000 Bastelraum mit Parkett.
CHF 18'000 Raucherlounge mit Parkett in Räucheresche und eingebautem Ventilator (Rauchabzug)

Sie kaufen hier eine exklusive Wohnung in einem sehr guten Zustand. Es bestheht kein Investitionsbedarf. Einfach wohnen und geniessen.
Der Anteil am gut gefüllten Erneuerungsfonds ist im Kaufpreis inbegriffen.

Teufen bietet eine Top-Infrastrukutur und ist bekannt als Sonnenterrasse, Naherholungsgebiet & Ostschweizer-Steuerparadies. Vereinbaren Sie noch heute einen unverbindlichen Besichtigungstermin. Evt. auch Tausch gegen EFH möglich.
Fläche                                                ca.  220 m2 Nasszellen weiteres
Preis                                              verkauft Badezimmer    2 Hochlanzküche, Induktion, Combi-Steam V-Zug
Garage à                                        verkauft
Badewannen    1 Designer Cheminée
Raucherlounge Optional                   verkauft Dusche           2 Parkett Kirschbaum
Hobbyraum Optional                        verkauft WC                 3 Ankleide-Wandschrank (5,8 m)
Personenlift
Kontakt              kontakt@topvillen.ch
                         taste immobilien GmbH
                         
                         0041 (0) 78 772 10 90

Appenzell Ausserrhoden                  
Appenzell Innerrhoden                    
Graubünden                                     
St. Gallen                                           
Thurgau
Zürich

zurück